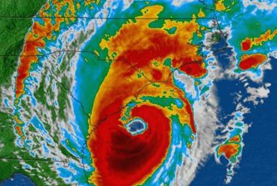
Hurricane Dorian

Photo: NBC News 

(WAND) – A lawmaker representing Illinois is looking to grant temporary protected status to people from the Bahamas following a decision by President Donald Trump’s administration to not allow it.

As NBC News reported, Bahamians who come to the United States after Hurricane Dorian will not be granted work permits but can still come temporarily with correct travel documents. As of Monday, the network said 1,500 hurricane victims from the Bahamas had arrived in the country.

Over 300,000 people in the U.S. as of September 2019 have access to temporary protected status. That group, which includes 10 represented countries, involves 2010 Haiti earthquake victims.

This week, Dorian’s death toll climbed to 50 people. About 1,300 others were missing as of Thursday, NBC News said. The storm was rated as a Category 5 when it hit the Bahamas area.

Bahamian Prime Minister Hubert Minnis said in a statement the impact of Dorian was "as if a massive bomb had exploded with atomic force". 

U.S. Sens. Dick Durbin (D-IL) and Sen. Bob Menendez (D-NJ) joined 15 other Democrats in the Senate when they introduced the Bahamas Temporary Protected Status of 2019. It would grant Bahamians 18 months of protected status and give humanitarian protection to eligible Bahamian citizens who can’t return home following the hurricane’s devastation, according to a press release from Durbin’s office.

Durbin’s office added temporary protected status would allow those same eligible citizens access to a work permit.

Read the full bill in a PDF document attached to this story.